|
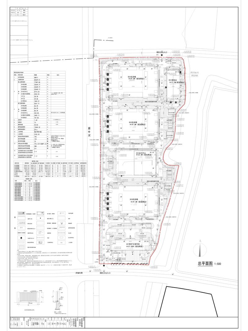
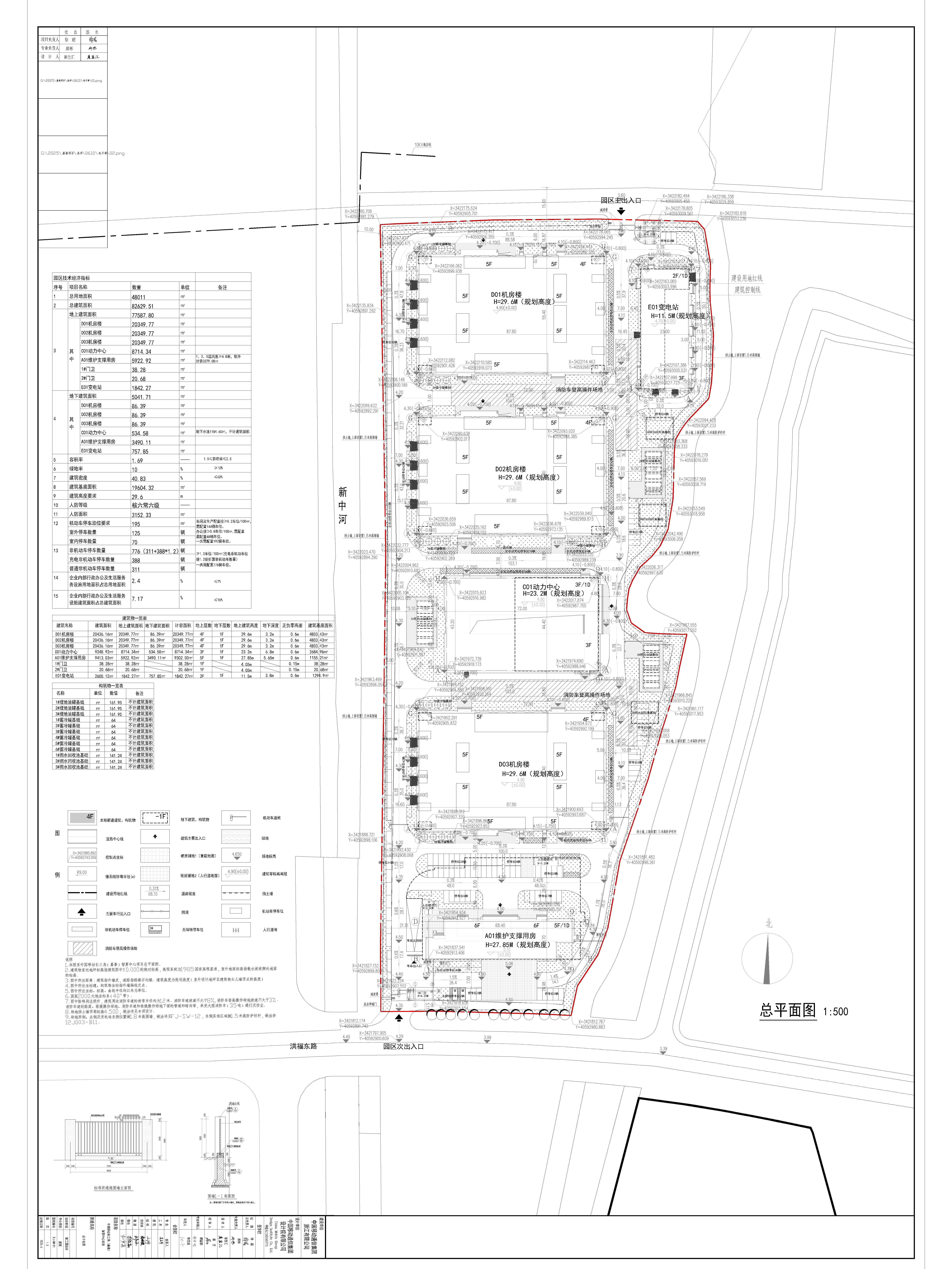
本項目由于建設單位方案深化、實際需要進行變更,主要變更內容:方案設計調整,,項目總建筑面積由82629.51平方米調整為82492.66平方米,1#門衛向東移動4.54米,2#門衛調整為成品門衛,相應總平面圖和經濟技術指標調整。 特將變更前后方案向社會公示,批準前公示時間:2026年04月16日--------2026年04月26日。 根據《中華人民共和國行政許可法》第四十七條規定,申請人、利害關系人如對本許可有異議或申請聽證的,可在公示期間向嘉善縣自然資源和規劃局提出。 聯系電話:057384228489 ,聯系地址:嘉善縣創業路388號(云帆大廈二樓D區自然資源規劃窗口) 變更前: 
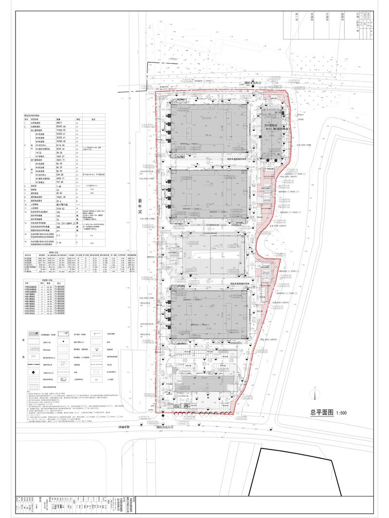
變更后:? 
|